조황관리HOME / 조황관리 / 상세정보

제목 : (유담호)28일 참돔타이라바 조황
등록일 : 2026-03-28
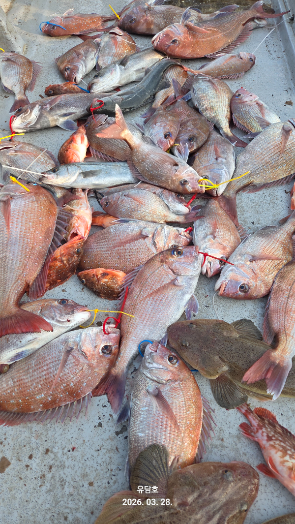
안 녕하세요 유담호선장입니다 
28일 참돔타이라바 철수 조황입니다 입니다 
오늘도 마리수 좋고 사이즈 좋네요
실력 좋은 분은 마리수 하셨지만 초보분은
꽝은 없지마 마리수 실패 먹을만큼 잡고 철수 했습니다 
일요일 자리여유 있습니다 
함께하실분 아래 링크예약 부탁드립니다 
문자나 전화로도 예약 가능합니다.
유담호 예약 바로가기==>>https://yudam.sunsang24.com/ship/schedule_fleet/



1000047273.jpg


1000047272.jpg


1000047270.jpg


1000047268.jpg


1000047262.jpg


1000047260.jpg


1000047261.jpg


1000047259.jpg


1000047258.jpg


1000047257.jpg


1000047256.jpg


1000047254.jpg


1000047252.jpg


1000047251.jpg


1000044069.jpg


1000002928.png

 
☆각종 낚시 미끼 및 낚시 용품  
☆타이라바 장비대여 
☆미끼천국으로 문의하세요 
☆미끼천국 ☎: 010-9121-3085

☆잡은고기 깔금하게 손질은 삼덕항  
☆떠드림 010-8414-6669 선착장에서 1분 거리
☆회결사 010-2238-3448 선착장에서 2분 거리



#선상낚시전용선 #루어 #타이라바 #무늬오징어 #팁런 #선상낚시 #통영 #낚시배 #유담호 #낚시 #바다낚시 #참돔 #오징어 #통영유담피싱호 #루어낚시 #삼덕항 #어신 
#빅게임#지깅#SLJ#슈퍼라이터지깅



*** 통영 유담호 예약 안내 ***


예약문의 : 010-3822-5195

오시는길 : 경남 통영시 산양읍 원항1길 78 (태영수산 앞)

홈페이지 : https://yudam.sunsang24.com/


모바일.gif 


Top